加入收藏 | 设为首页 | 会员中心 | 我要投稿 | RSS
您当前的位置:首页 > 法制 · 社会 > 社会综合

“4道菜974元”涉事餐馆曾被多人喊“坑” 广西北海市场监管局介入

时间:2021-07-08 17:18:32  来源:红星深度  作者:

 7日,“游客点4道菜花费近千元怀疑被宰”登上微博热搜。据了解,此事发生在广西北海市,起因是3名游客在餐馆就餐时只点了4道菜,却需支付近千元的费用。因对菜品的实际份量、价格有所怀疑,游客在事后向有关部门举报,并将此事发在了网上。

红星新闻记者从北海市市场监督管理局了解到,此事已被分派到所在辖区的市场监管局处理,目前还没有结果。

资料图。北海市相关监管部门对投诉集中的地区开展海鲜餐饮整治督查。

红星新闻记者注意到,涉事餐馆曾多次被网友评论称“坑”,甚至有网友在事发前就已在网上晒出与上述游客相似的经历,劝阻大家不要“上当”、“踩坑”。

4道菜花了974元

游客怀疑被餐馆“宰”了

7月2日,广西的龙先生与两名朋友在北海市游玩时,经出租车司机介绍,到当地的侨港风情街某餐馆就餐。期间,三人点了白灼虾、粉丝蒸沙虫、辣炒油螺和香辣白金贝4道菜,以及一盅米饭,并使用了3套餐具和一包纸巾。在结账时,龙先生得知需支付974元餐费,“价格贵,份量也不对,感觉自己被‘宰’了。”

龙先生告诉红星新闻记者,该餐馆是一家自捕自销的海鲜店,里面的食物菜品也都标有单价,他们在选完菜后店员是用黑色的袋子进行分装、称重,“称重时称不出价钱是多少钱,只称出了重量,且称得比较快,还没看清楚就称完了。”龙先生说,他们曾问过店员多少钱,但对方并未直接告知,只表示吃完结账就知道了。

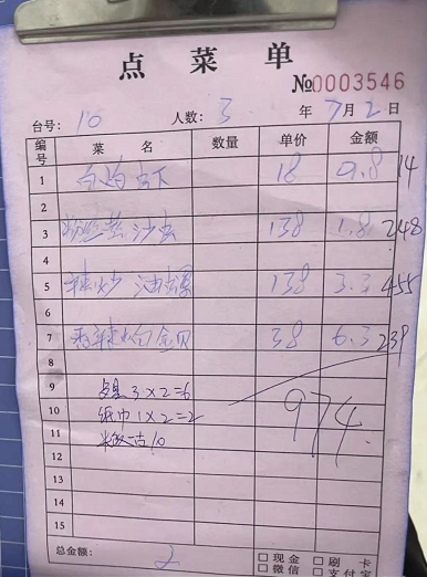
龙先生的点菜单。

在龙先生晒出的点菜单截图上,红星新闻记者看到,当天他们点了4道菜,分别是单价18元一斤的白灼虾,138元一斤的沙虫,以及138元一斤的油螺和38元一斤的白金贝。其中,白金贝显示重量高达6.3斤,最终,点菜单上的总额为974元。

“实际份量跟点菜单上的不符,菜的味道也不好,而且感觉店家上的是别的菜,并不是我们选的那些。”龙先生说,因为是在外地便没有当场向店家提出异议,“离开后,我们就向相关部门进行举报反映,目前还没有收到结果通知。”

据新京报报道,该餐馆曾回应称,龙先生等人所点的菜大部分是店内较贵的海鲜,“沙虫跟油螺的价格本来就贵,网上冰冻的都要卖80元一斤,自己开餐馆也是要盈利的。”且所有菜品店里均是明码标价,“点完之后过了秤,都会让顾客签字确认,单价和重量前面都会看到。”该餐馆还表示,只有顾客签了字,他们才会算总的消费金额,而此次事件里,龙先生是在总金额处有签字确认的。“这个价格是不贵的,如果他觉得贵可以打12315投诉我们。”餐馆称。

当地市场监管局介入调查

在大众点评APP上,红星新闻记者发现,有关该餐馆的评论里多人提到被“宰”、店“坑”。网友“米粒是吃货”在6月13日曾留言评论说,自己经出租车司机介绍到该餐馆就餐,仅点了2个菜(花蟹、百花鱼)却花费了598元。网友“Qzone”则在7月4日留言说,自己与朋友2人到该餐馆就餐,点了4个菜(面包蟹、油螺、虾、上汤娃娃菜)却花费了1300多元,“一个面包蟹一点肉都没有,油螺量也特别少,菜特别难吃。”

大众点评上,有网友称自己去该餐馆消费时“活生生被宰”。

此外,红星新闻记者还检索发现,大多数网友认为该餐馆有“宰客”行为,价格有些偏贵,但也有网友有不同意见。

“时令海鲜的价格是随行就市的,特别是休渔期,海鲜的价格必然会比平时贵很多。”网友“桀先生”说,今年北海的休渔期是从5月1日开始,将持续到8月中旬,在这3个多月里,海鲜市场的价格普遍都在上涨,“更不要说沙虫、油螺本身的价格就不低。”

网友“灰色”则表示,餐馆均明码标价,单价与斤数在用餐前都出示给了龙先生,如果觉得有问题,龙先生可以选择不吃或向餐馆提出异议,“吃前你确认了,吃完后又不认了,是否有些说不过去?”

有网友为该餐馆的价格给出的解释。

在某生鲜配送APP中,红星新闻记者查询到,白灼虾的单价为每斤40元左右,而较贵的沙虫价格则有123元一斤的,也有149元一斤的,普遍都在百元以上。此外,通过在其他网站上查询,记者了解到,油螺的批发价在110元左右。

7月7日,红星新闻记者从北海市市场监督管理局了解到,对龙先生反映的上述情况,已分派到辖区的市场监管局进行处理,目前还没有结果。

同时,通过查阅北海市市场监督管理微信公众号,红星新闻记者留意到,关于海鲜消费的价格问题是北海市近年来接到投诉的热点问题。

资料图。北海市银海区市场监管局针对节日期间群众投诉较为集中的地区开展海鲜餐饮整治督查。

据该局所发的《市场监管局2020年春节消费预警提示》显示,因海鲜餐饮消费市场是个开放的市场,各商家利润受地域租金、资金投入、海鲜保养、人工等成本因素的影响有所差异。北海市区的大排档价格水平相对稳定和合理,游客相对聚集的银滩、侨港旅游区范围的大排档价格水平相对偏高且变动大。北部湾海鲜资源丰富,但受节日、假期旅游旺季影响,供求不足,市场价格正常情况下会有所上涨。

故该局提醒广大消费者,在选择海鲜时应先了解清楚价格及收费标准,选择明码标价的商家进行消费,点单时留心菜品的单价,付款时查验账单,核对结算价格与下单时是否一致,做到明明白白消费。

红星新闻记者 罗梦婕

编辑 张寻

免责声明:本文仅代表作者个人观点,与晋闻网无关。其原创性以及文中陈述文字和内容未经本站证实,对本文以及其中全部或者部分内容、文字的真实性、完整性、及时性本站不作任何保证或承诺,请读者仅作参考,并请自行核实相关内容。
来顶一下
返回首页
返回首页
    
发表评论 共有条评论
用户名: 密码:
验证码: 匿名发表
推荐资讯
湖南长沙:袁隆平同志逝世
湖南长沙:袁隆平同志逝
赵丽颖冯绍峰情史回顾:4年婚姻两茫茫,始料未及,却是意料之中
赵丽颖冯绍峰情史回顾
海俊杰感恩有机会参与神剧
海俊杰感恩有机会参与
赤壁市优瑜伽携手短视频直播创业培训班开展优瑜伽秋韵公益活动
赤壁市优瑜伽携手短视
栏目更新
栏目热门